
邢东新土储告字〔2021〕3号
按照邢东新区工作安排,邢东新区土地储备分中心拟收储邢州大道与规划振兴三路交叉口东北区域四宗国有建设用地使用权,具体情况如下:
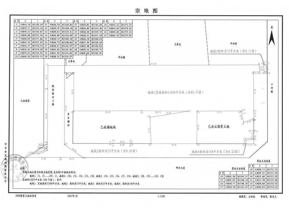
宗地一、二、三、四均位于邢州大道与规划振兴三路交叉口东北区域,面积共计53835平方米(合约80.75亩),其中,宗地一面积53580平方米(合约80.37亩)、宗地二面积72平方米(合约0.11亩)、宗地三面积35平方米(合约0.05亩)、宗地四面积148平方米(合约0.22亩),详见附图。上述四宗地均已达到收储出让条件,为确保土地收储、出让工作依法依规运行,特公告如下:
一、上述四宗地已经省政府批准为国有建设用地,邢东新区祝村镇政府已将土地补偿费补偿到位,土地权属清晰、四邻边界无争议,邢东新区土地储备分中心拟收储四宗国有建设用地土地使用权。
二、对上述范围内土地收储有异议的单位和个人,请在本公告公示期内到邢东新区土地储备分中心、邢东新区祝村镇政府主张权利,逾期不提出异议的,视为对此公告内容无异议。
联系单位、联系人及联系方法:
邢东新区土地储备分中心:李晓 0319-3880699邢东新区祝村镇政府:刘浩 0319-6771289
三、本公告有效期自2021年1月22日起至2021年2月5日结束。
信都区97万
襄都区66万
信都区162万
信都区139万
信都区74万
信都区150万
襄都区72万
襄都区62万
襄都区面谈
襄都区面谈